辛樂克又強又大!氣象專家示警:下周「這天」全台有雨

2026-04-14 HaiPress

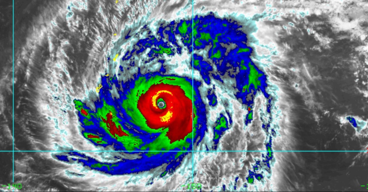
兩波鋒面及水氣增多,專家解析颱風辛樂克動態,20日後全台降雨機率明顯提升,天氣轉趨不穩。(圖/RAMMB)

近期天氣型態將出現轉變。氣象專家賈新興指出,自周三起將有兩波鋒面陸續影響台灣,加上20日之後水氣增加,全台降雨機率明顯提升,也分析颱風動態,直言「強度高又大」。

★延伸閱讀★最強4月颱!辛樂克登年度風王 路徑大迴轉

賈新興談天氣

賈新興表示,今、明(13-14日)各地大致為晴朗悶熱天氣型態,但午後山區仍可能出現零星短暫陣雨。隨後天氣逐步轉趨不穩,15日與18日午後受到微弱東北風影響,局部地區降雨機率略增;至20日因水氣移入,全台普遍有降雨情形。

逐日觀察方面,14日天氣晴朗,僅大台北及宜蘭山區午後轉為多雲;15日苗栗以北、中投山區及宜花地區午後有零星短暫雨。16日清晨,北海岸、基隆至東北角與宜花地區有局部降雨,午後降雨範圍擴及苗栗以北及中南部山區。17日午後,南投以北及嘉義以南山區與宜花地區有局部短暫雨。

18日降雨集中於宜花東地區,午後在東北季風影響下,桃園以南山區與中南部平地也可能出現局部降雨。19日清晨嘉義以南沿海有零星降雨,午後竹苗以南及東部山區亦有短暫雨勢。20日水氣進一步增加,各地轉為有雨天氣;21日至22日午後,各地仍有零星陣雨發生的機會。

颱風動態

此外,對於強烈颱風辛樂克的動態,賈新興表示,颱風眼很小,顯示強度極高,風雨最劇烈區域集中在距離颱風眼約50至100公里的眼牆附近。該颱風七級風暴風半徑約350公里,十級風半徑約180公里,屬於非常大型的颱風。不過其行進路徑先朝西北西移動,之後轉向東北,距離台灣及日本均相當遙遠,對台灣天氣不構成影響。

免責聲明:本文轉載自其它媒體,轉載目的在於傳遞更多信息,並不代表本網贊同其觀點和對其真實性負責,亦不負任何法律責任。本站所有資源全部收集於互聯網,分享目的僅供大家學習與參考,如有版權或知識產權侵犯等,請給我們留言。
©版權 2009-2022中國商業網      聯繫我們   SiteMap